प्रतिनिधि सभा बैठक बस्दै, के छन् कार्यसूची?

संघीय संसद्अन्तर्गत प्रतिनिधिसभाको बैठक बिहीबारका लागि पनि तय भएको छ। लामो समयदेखि अवरूद्ध भइरहेको प्रतिनिधि सभा बैठक आज दिउँसो तीन बजेका लागि बोलाइएको छ। भिजिट भिसा प्रकरणको छानबिन समिति बनाएर गर्नुपर्ने विपक्षी दलको अडान र समिति बनाउनु नपर्ने सत्तापक्षको अडानका कारण आइतबार सहमति नजुट्दा प्रतिनिधि सभा बैठक अवरूद्ध बन्दै आएको छ। दलहरूले आज दिउँसो ३ […]

चार प्रदेशमा भारी वर्षाको सम्भावना

हाल देशको पश्चिम र मध्य भू-भागमा पश्चिमी वायु तथा स्थानीय वायुको प्रभाव रहेको छ भने कोशी प्रदेशका अधिकांश भू-भागमा मनसुनी वायुको प्रभाव रहेको छ। ती प्रणालीको प्रभावले बिहीबार बिहान बागमती, गण्डकी, लुम्बिनी, कर्णाली र सुदूरपश्चिम प्रदेशका विभिन्न भूभागमा वर्षा भइरहेको जल तथा मौसम पूर्वानुमान महाशाखाले जनाएको छ। महाशाखाका अनुसार पछिल्लो एक घन्टामा नवलपरासी पश्चिमको देउरालीमा […]

रास्वपाको ५ बुँदेमा प्रस्तावमाथि छलफल हुँदैन : योगेश भट्टराई

नेकपा (एमाले)का सचिव योगेश भट्टराईले राष्ट्रिय स्वतन्त्र पार्टी (रास्वपा)ले पठाएको ५ बुँदे प्रस्तावमाथि छलफल नहुने बताउनुभएको छ । बुधबार नयाँ वानेश्वरस्थित संघिय संसद भवन परिसरमा पत्रकारहरूसँग कुराकानी गर्दै सचिव भट्टराईले रास्वपाको उक्त ५ बुँदेमा कुनै हालतमा जान नसकिने बताउँदै माओवादी केन्द्रले ड्राफ्टसहित पठाएको कुरामा सहमत रहेको जिकिर गर्नुभयो । उहाँले विपक्षी दलहरूले फेरि छलफलको लागि […]

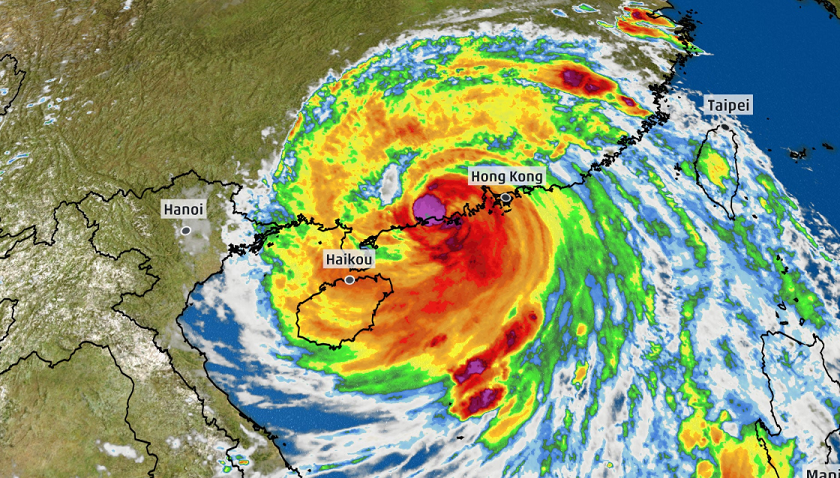
टाइफुन वुटिपका कारण चीनको टापु प्रान्तमा सतर्कता

दक्षिण चीन सागरमा उष्णकटिबन्धीय क्षेत्रमा यस वर्षको बिहानको पहिलो टाइफुनमा परिणत भएपछि चीनको दक्षिणी टापु प्रान्त हाइनानले बुधबार चौथो स्तरको टाइफुन चेतावनी जारी गरेको छ । हाइनान प्रान्तीय मौसम विज्ञान ब्युरोका अनुसार टाइफुन वुटिपको केन्द्र स्थानीय समयानुसार बुधबार ८ बजे मा सानसा सहरको योङ्क्सिङ दाओबाट करिब एक सय ६५ किलोमिटर दक्षिण पूर्वमा अवस्थित थियो । […]

पोखरामा प्याराग्लाइडिङ अवतरण गर्ने क्रममा दुर्घटना हुँदा दुई वटा प्याराग्लाइडिङ फेवा तालमा खस्यो

ल्यान्डिङ गर्ने क्रममा बुधबार पोखरामा दुई वटा  प्याराग्लाइडिङ दुर्घटनामा परेका छन् ।  पोखरा महानगरपालिका–१८ तोरेपानीबाट उडेको २ वटा प्याराग्लाइडिङ ल्यान्डिङ गर्ने क्रममा अनियन्त्रित भई फेवा तालको बीच भागमा खसेको हो । सो दुर्घटना लगत्तै सशस्त्र प्रहरी बल नेपाल नं. २४ कालिका गण कास्कीबाट फेवा रेस्क्यु टावरमा खटिएको सुरक्षा फौजले चार जनालाई दिउँसो करिब ३ बजे सकुशल उद्धार गरेको […]

प्रतिनिधि सभा बैठक सर्‍यो

बुधबार दिउँसाे १ बजे बस्ने गरी बाेलाइएकाे प्रतिनिधि सभा बैठक ३:१५ बजे बस्ने गरी सरेको छ । विशेष कारण देखाउँदै आज नै ३:१५ बजे बस्ने गरी बैठककाे समय सारिएकाे हाे । जेठ १३ गते देखि प्रतिपक्षी दलहरुले भिजिट भिसा प्रकरणलाई लिएर संसद् अवरुद्ध गर्दै आएका छन् । भिजिट भिसा प्रकरणमा गृहमन्त्री रमेश लेखकको जोडिएपछि उनको राजीनामा […]

गोक्यो तालमा आत्महत्या गर्ने तयारीमा रहेका चिनियाँ पर्यटकको प्रहरीले सोलुखुम्बुबाट गर्यो उद्धार

सोलुखुम्बुस्थित प्रसिद्ध गोक्यो तालमा आत्महत्या गर्ने तयारी गरिरहेका एक चिनियाँ पर्यटकलाई नेपाल प्रहरीले सकुशल उद्धार गरेको छ। पर्यटक प्रहरी कार्यालय, भृकुटीमण्डपबाट खटिएको टोलीले चिनियाँ नागरिक छेई हुवाङलाई मंगलबार बिहान उद्धार गरेको हो। ३६ वर्षीय हुवाङले आफ्नै जन्मदिन (११ जुन) को दिन गोक्यो तालमा आत्महत्या गर्ने भनेर सामाजिक सञ्जालमा पोस्ट गरेका थिए। हुवाङको सामाजिक सञ्जाल पोस्ट […]

अनेरास्ववियुको महाधिवेशन : निर्वाचन समितिले उम्मेदवारको कागजात रुजु गर्दै

नेकपा एमालेको भ्रातृ सङ्गठन अनेरास्ववियुको महाधिवेशनमा निर्वाचन प्रक्रिया अघि बढेको छ । सहमतिका आधारमा नेतृत्व चयनको प्रयास असफल भएपछि निर्वाचन कमिटीमार्फत निर्वाचनको प्रक्रिया अघि बढेको हो । निर्वाचन कमिटीले निर्वाचनको प्रक्रिया अगाडि बढाउँदै उम्मेदवारहरूको कागजात रुजु गरिरहेको छ । कागजात रुजुको काम सकिएपछि मतदान प्रक्रिया अगाडि बढ्ने निवर्तमान उपाध्यक्ष धर्म गिरीले जानकारी दिए । निर्वाचन […]

विदेशबाट फर्केर ३० रोपनीमा व्यावसायिक अकबरेखेती

यहाँका एक युवाले व्यावसायिकरुपमा अकबरे खुर्सानी खेती थालेका छन् । स्याङ्जाको गल्याङ नगरपालिका वडा नम्बर १ चौरका असिम तिवारीले स्वदेश फर्केसँगै विदेशमा सिकेको सीपको सदुपयोग गर्दै व्यावसायिकरुपमा अकबरे खुर्सानी खेती सुरु गरेका हुन् ।  यहाँका एक युवाले व्यावसायिकरुपमा अकबरे खुर्सानी खेती थालेका छन् । स्याङ्जाको गल्याङ नगरपालिका वडा नम्बर १ चौरका असिम तिवारीले स्वदेश फर्केसँगै विदेशमा सिकेको […]

सभामुखसहित प्रमुख सचेतकहरूको बैठकमा भएन सहमति

प्रतिनिधिसभामा जेठ १३ गतेदेखिको अवरोध खुलाउने विषयमा सभामुख देवराज घिमिरेको पहलमा बसेको सत्तापक्ष र प्रतिपक्षी दलहरूको बैठकमा कुनै सहमति हुन सकेन । सभामुख घिमिरेसहित उपसभामुख इन्दिरा रानामगर, कानुन न्याय तथा संसदीय मामिला मन्त्री अजय चौरासिया, नेपाली कांग्रेसका प्रमुख सचेतक श्यामकुमार घिमिरे, एमालेका प्रमुख सचेतक महेश बर्तौला, प्रमुख प्रतिपक्षी दल नेकपा (माओवादी केन्द्र)का प्रमुख सचेतक हितराज […]